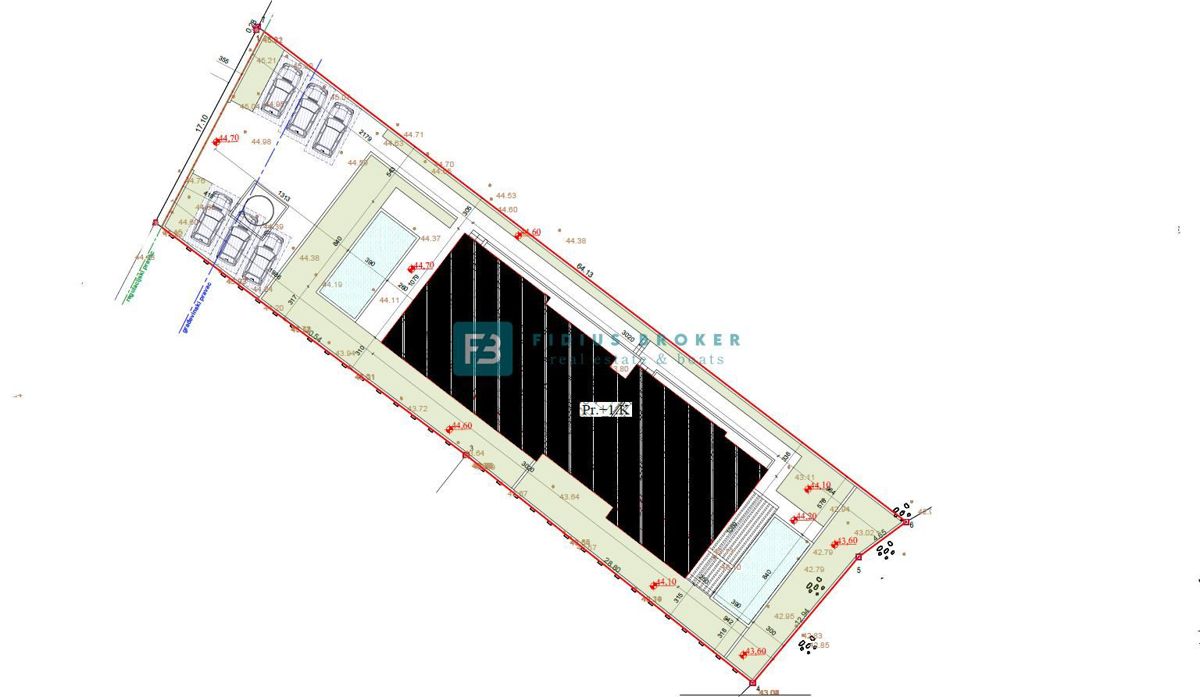
REC ID# 1245657 - VODICE